Circular Oblique Lighting (Part 2) 

More thoughts about COL lighting 

By Paul James (uk)

Click each link for Part I, III and IV.

It must be emphasized that there is no definitive COL set-up, since it already exists within the imagery of standard brightfield, but its presence is nullified or flooded out. The purpose of the annulus or stop is to mask the unwanted central light component from this brightfield image, so that the COL phase contrast imagery generated by the peripheral regions of the objective can be revealed.

An ANNULUS or STOP ?

Strictly speaking an annulus allows a coherent ring of light to pass through the condenser to produce phase contrast or COL effects. My experiments have led me to circumvent the making of a traditional annulus, because it is highly desirable that the outer regions of the light cone should be variable. Therefore an annulus not having variable outer proportions is less versatile. An ordinary circular stop as used for darkfield, though smaller, will yield the COL phase reversal effects, and if placed near the iris diaphragm, the latter can be closed down to control the outer proportion of light input to the specimen. Thus the overall effects can be radically changed by simply altering the size of the iris diaphragm. In practice this works extremely well, providing that the iris is concentric with the stop. Complete concentricity in the microscope's optics makes for better COL effects.


These initial trials are set out to introduce those who have no phase equipment, and have not experienced COL before, in a quick and uncomplicated manner.

Initial trials

Set up your 'scope for brightfield with the x40 objective using a slide of diatoms containing fine detail such as Actinoptychus heliopelta etc.. Optimise the condenser's focus position and then open up the iris to maximum aperture. Now place a disc of opaque material such as a 5p coin, or one cut from silver foil of about 10-15 mm on the field lens of your microscope. Centre it as carefully as you can by making sure that the back lens of the objective shows a ring of peripheral light when viewed without the eyepiece in place ( a Phase telescope makes this much easier to accomplish ). Alter the size of the stop if necessary until you see this down the draw tube :-
 

Then look at the diatom whilst altering the position of the condenser until you see a dark central zone, which will confirm the field stop's centrality, if you are in doubt about that. Now rack up the condenser until the dark zone just disappears. You will, if the condenser is of the simple Abbe form, see some splendid colour backgrounds as you move the condenser about its usual position. This is perfectly normal in these circumstances, and the final position can be determined which provides the most pleasing effects regarding background and contrast etc..

This initial view contains a proportion of COL and darkfield components, but the phase reversal contrast enhancing effects will still be seen.
 

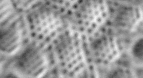
COL of Diatom (Actinoptychus heliopelta)

Wild x40 Achromat using simple field lens stop. Colour profusion 

from Abbe condenser's peripheral aberrations helps differentiate

detail of phase reversals. Adjusting of condenser dictates colour backcloth.

DETAIL SHOWN BELOW

Unsharpened, unsized, grayscaled detail of the central ccd image of the

same above but using the Zeiss Optovar with total amplification 

of around x2000 illustrates quite clearly the potential image enhancing 

properties of COL using the humble x40 achromat !

Optimising this simple set-up can be accomplished by adjusting the position of the condenser, and/or trying smaller or slightly large stops on the field lens.

If you cannot gain success so far, try another diatom slide, as the COL phenomenon is quite sensitive to the optical properties of the diatom and its mountant medium. If still no change, then it could well be that your objective has flaws of one kind or another around the edges of the elements such as delamination, or fungal growth.

NB.......The images you will have seen like those above are not purely COL, because there is the darkfield component overlaying the COL. However I have mentioned this because there can be a distinct advantage in the perceived resolution and general presentation of the diatom etc.. By using an annulus which blocks the DF component, pure COL will result, which might suit certain subjects better, and may appeal to some observers.

The diagram below shows how this stop on the field lens works. Only one one side of the condenser's output is shown of course. ES represents the light from the edge of the stop, and FB represents the light at the maximum field boundary, which in most microscopes with condensers of at least 0.9 NA will project light beyond the x 40 objective's front element....This is the darkfield component mentioned above.
 

Optimizing COL for a favourite objective/specimen

Having experienced some success, and observing the benefits of a simple stop, it is likely that those who are impressed will want to 'tweak' the COL to maximum advantage. We will consider these in turn :-

1) The stop.

2) The position of the stop.

3) The suitability of the various forms of condenser.

The Stop

Thickish aluminium foil is the easiest material to cut into a disc for the stop, since its outer edge should be sharp and thin like the iris. For most observations the disc does not have to be perfectly circular, but this should be the case if possible because the iris can be used to greater effect when closed down to reduce the DF component. Blackening it is not essential but does reduce stray light from reflections.

Its diameter should be such that your objective's back element displays a circle of peripheral light of thinnish proportions as shown above. It will probably, in most microscope's, need to be a little narrower than you have used on the field lens, because it should ideally take its position near the iris diaphragm.

Siting the Stop

The ideal site for the stop is near the plane of the condenser iris, i.e.. near the anterior focal plane of the condenser. The filter tray is good enough to start with, but suffers from the disadvantage that it should really be able to be centred at times. Stops placed in the spare apertures of phase condenser Zernicke discs work very well, provided the iris diaphragm is independent of this, which is not the case with some Zeiss phase condensers.
 

Above is shown the principal of a dedicated condenser for COL using a preferred objective, which has a stop attached to the underside of the condenser's bottom element, with the iris controlling the outer DF portion of light. What really matters is that the stop is concentric with the condenser's axis and iris. This is vital and the effort to put this into practice will pay dividends.

There are many ways of mounting stops near the iris in either a temporary or permanent way. This will ultimately depend on the observer's needs regarding COL/DF and their imaginative DIY skills. Adapting an old iris/lens mounting from an obsolete camera etc. incorporating a stop, or series of removable stops to suit different objectives mounted just beneath the condenser will appeal to those requiring speedier illumination changes. A case could be made for the acquisition of a phase condenser substage unit for your 'scope, if fixed annuli will suit your needs.

Those who have a second microscope may adapt it for COL?

The Condenser

Fortunately, the Abbe or achromatic condenser are both well suited to COL up to and including x40 objectives. The achromat has the edge regarding the use of oil immersion objectives for it provides a more accurately coherent cone, as does the aplanat over the Abbe. However, the intrinsic chromatic aberrations of the Abbe can provide some advantage, in that by its careful focussing we can bathe the specimen in apple green light, the preferred colour for achromatic corrections, which I find elicits the best imagery regarding contrast enhancement and general viewing comfort.

Tail Ends

One very important issue regarding the comparison of brightfield and COL, is that the former is rarely used at full aperture, prejudicing maximum resolution from the objective because of iris closure requirements. COL can utilise the max NA of the objective every time.

COL works best with the higher NA objectives, but will work also with x10 and x20 too. Each objective will require a different diameter stop. If the iris is opened up to allow some DF component to reach the specimen, it will add a degree of highlighting too. Decentering the condenser can also add depth and make for a very interesting image :-
 

Note almost 3D effect of COL/DF on this insect part

The variations of annulus/stops are endless, and the experimenter might consider the effects of 2 concentric annuli, one just inside the NA of the objective (COL) and one just outside (DF), thereby bypassing the peripheral edge of the objective's elements where presumably some light might go astray etc............It's a thought.

Some Personal thoughts

For me COL, and especially when in use with the iris controlling the DF component, is the preferred illumination set-up to brightfield for a number of specimen types. More experimentation is on the way for me, and I hope some readers will have had their appetites whetted accordingly.

What truly amazes me is that COL has been known in principal and practised by a few workers for over 50 years, yet the microscope manufacturers, as far as I know, have never incorporated its great advantages into the standard microscope? The cost would be trivial compared to phase contrast, but the benefits would be so appreciated by many observers. ...............Pity.



 
All comments welcomed to Comments to the author sent via our contacts page quoting page url plus : ('pjames','')">Paul James.

Read Part I and Part III of the series.

Microscopy UK Front Page
Micscape Magazine
Article Library


© Microscopy UK or their contributors.

Published in January 2003 Micscape Magazine.

Please report any Web problems or offer general comments to the Micscape Editor.

Micscape is the on-line monthly magazine of the Microscopy UK web site at Microscopy-UK



© Onview.net Ltd, Microscopy-UK, and all contributors 1995 onwards. All rights reserved. Main site is at * The following links are reduntant. Please see footer.* * please note that this link is now reduntant. See footer. * www.microscopy-uk.org.uk with full mirror at * Redundant link * www.microscopy-uk.net.



Micscape ran from 1995 and continued until after 2024. The Quekett Microscopical club has agreed with the original owners to become the permanent custodians of the work produced.